亀山湖・牛久沼は首都圏近郊のワカサギ釣り場をめざします

ワカサギふ化放流ノート
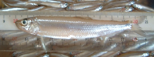
某水体における、ワカサギ(全長110mm)由来考察
Japanese smelt(full length 110mm)origin consideration in a certain wetlands.
fig.01 ワカサギ(オス)
fig.01 ワカサギ(オス) Hypomesus nipponensis
fig.02 ワカサギ鱗 fig.03 ワカサギ鱗
fig.02〜03 ワカサギ鱗 his scale
【よしさんコメント】

このワカサギは全長110mmのオス、2006年06月06日に採取されました。
腸管内容物を調べるため解剖した場面は、別項写真をご覧下さい。

2006年春生まれの個体でないことが、全長からも明白に断定できます。 2005年春は、諏訪湖産ワカサギ受精卵の出荷がなされず、当該水体でも未放流でした。 すると、2004年春生まれの3年魚かと思いたくなりますが、それにしてはサイズが小型です。

全長からの推定と、他方、以前より当該水体での自然繁殖説を考え合わせ、 このワカサギは、2005年春生まれの、当該水体における自然繁殖2年魚の可能性が高いものと考察されます。
鱗からの年齢算定は、ワカサギの場合、公開されている資料に乏しく、ここで直ちに判断ができません。 後日の資料として発表しておきます。
しからば、どの場所で自然産卵がなされているのか。次なる探求テーマは、産卵場所の特定でしょう。 もし特定できれば、同様な環境条件を整備することにより、自然繁殖の拡大が期待できます。

永続的で湖沼に優しい、ローインパクトな利用を目標に、エンジンボート・産業排水(農薬汚染も含む)・生活排水等による人為的水質汚染 を避ける配慮が求められます。

※1尾のワカサギが教えてくれたこと※
★オスも2年魚になる
★この水体で自然繁殖している可能性が高い
★産卵場所を特定し、自然繁殖の拡大を目指そう

2006年06月06日某水体にて採取 天候○ 満水 水色ややマッディー

http://wakasagi.jpn.org/ ワカサギふ化放流ノートトップページへ Copyright by yoshisan.